I rapporti che si stabiliscono tra specie diverse di animali sono svariati e complessi e si determinano per numerose cause: spesso la tendenza ad associarsi scaturisce da necessità alimentari o di difesa e si concreta in legami che possono essere labili o duraturi, reciprocamente utili o dannosi per uno dei contraenti.
L’intrecciarsi delle situazioni, che vanno dal semplice commensalismo al parassitismo attraverso una serie di sfumature, è particolarmente interessante e ricco di aspetti nell’ambito di specie che vivono in modo sociale. Infatti la stessa peculiare condizione della società, che costituisce una sorta di microcosmo a sé stante per certi versi indipendente da quanto la circonda, si presta ad attirare intorno alla specie sociale individui di altre entità per gli scopi più vari e sorprendenti. Per quanto riguarda la società delle api nel corso della sua lunghissima storia evolutiva si sono venuti sviluppando numerosi casi di interferenza tra le laboriose produttrici di miele e animali di altri gruppi.

Coloro che da qualche tempo praticano l’apicoltura e quindi, di solito, si trasformano quasi inconsapevolmente in fini osservatori della natura, hanno certo avuto modo di notare più volte dei frequentatori, a diverso titolo, dell’alveare: può trattarsi di forme che danneggiano le api o i loro prodotti, ma anche di animali che sfruttano residui o che, più semplicemente, cercano rifugio.
Limitandoci a considerare gli Insetti, è noto che spesso individui di specie appartenenti a vari ordini si intromettono nell’arnia in qualità di commensali o di inquilini più o meno innocui. A questa categoria appartengono i due casi che segnaliamo agli apicoltori; entrambi si riferiscono a catture da noi effettuate in un apiario posto ad Appiano Gentile (Como), ma sono facilmente riscontrabili ovunque.
Il primo caso riguarda un rincoto eterottero, Rhyparochromus vulgaris Schill. (la determinazione fu, a suo tempo, confermata dal compianto Prof. Antonio Servadei) (fig. 1): si tratta di una specie della famiglia Lygaeidae ad ampia distribuzione geografica, estesa dall’Europa centrale e meridionale sino all’ Africa del Nord e all’Asia occidentale, che frequenta in natura ambienti asciutti e caldi, riparandosi sotto cortecce screpolate, fra muschi e pietre (Le Quesne, 1957; Wagner, 1961). Le sue abitudini alimentari non sono note con precisione: i Ligeidi, di norma, si cibano pungendo vegetali e succhiando linfa, ma non mancano osservazioni di comportamento zoofago e zoonecrofago. A questo proposito si può osservare che varie entità di famiglie affini sono segnalate come in grado di attaccare Apis mellijera, specie con generi e altri apidi sociali (Weber, 1968, Morse, 1978) .

Nel caso da noi osservato, numerosissimi individui del ligeide si erano ammassati in autunno fra coprifavo e tetto di alcune arnie collocate al limite di un bosco, abbandonando poi il rifugio al primo sole primaverile. La tendenza ad aggregarsi per trascorrere l’inverno è caratteristica di molti Rincoti Eterotteri (Grandi, 1951) i quali, tipicamente, superano tale periodo allo stadio di adulto. Nei confronti dell’ape, R. vulgaris può senz’altro considerarsi un innocuo e tollerabile inquilino che ricerca l’arnia al solo scopo di sfruttarne il tepore.
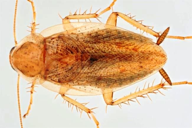
La seconda specie di cui riferiamo è una blatta, Ectobius pallidus (Olivier) (fig. 2). Molti degli appartenenti al sottordine dei Blattaria sono ben noti al pubblico per il loro costume di infestare case, magazzini e depositi danneggiando e contaminando le più svariate derrate alimentari, ma altri ve ne sono che vivono all’aperto in campi e boschi oppure in caverne o nei pressi di nidi di insetti sociali. Di quest’ultima schiera fa parte appunto la specie in questione, compresa nella famiglia Blattellidae e osservata, per altro, anche in nidi di vespe (Grandi, l. c. ). E. pallidus presenta ampia distribuzione geografica, trovandosi in gran parte dell’Europa e dell’America del Nord, e si ciba di muschi, foglie morte, detriti (Cornwell, 1968); la sua presenza negli alveari si giustifica appunto per la ricerca di residui vari, esuvie, api morte, ed è quindi sporadica e del tutto sopportabile.
Per completare l’informazione, va tuttavia riferito che sono citate in letteratura invasioni di alveari da parte di blatte delle comuni specie domestiche, particolarmente in zone calde e umide. Tali attacchi non sono rivolti direttamente alle api: anche in questi casi infatti le blatte asportano modeste quantità di miele e di polline, sfruttano frammenti o corpi morti, ma possono irritare la famiglia e danneggiarne i prodotti per l’odore nauseabondo che emanano.
A conclusione, possiamo rassicurare gli apicoltori che dovessero osservare i citati « intrusi» nei propri alveari: essi non recano danno alcuno.
Graziella Bolchi Serini e Mario Colombo
Istituto di Entomologia agraria – Università di Milano
L’apicoltore moderno 72, 107-109 (1981)
Bibliografia
CORNWELL P. B., 1968. The Cockroach. Hutchinson, Lonç\on.
GRANDI G., 1951. Introduzione allo studio dell’entomologia. Edizioni agricole, Bologna.
LE QUESNE W.]., 1957. A praticai key to the british genera 01 Rhyparochrominae (Hem., Lygaeidae), including some generic reassignments. «Ent. Mon. Mag.» 93, 57-62.
MORSE R. A., 1978. Honey bee pests, predators, and diseases. Comstock Publ. Ass., Ithaca & London.
WAGNER E., 1961. Zur Systematik der Gattung Rhyparochromus Habn, 1826 (Hem. Het. Lygaeidae). «Dt. ent. Z.» 8, 73-116.
WEBER H., 1968. Der Hemipteren. Asher, Amsterdam.
Apicoltore Moderno